
Trautmannsdorf
Geras, 2093
info@drohnenflug-bianca.at
Hier ein paar Einsatzmöglichkeiten meiner Drohne.

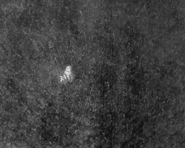
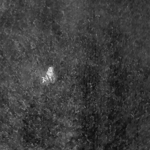
Der Einsatz von Drohnen mit Wärmebildkameras zur Rettung von Rehkitzen hat sich sehr bewährt. Um den Mähtod von Rehkitzen zu reduzieren, ist die Zusammenarbeit zwischen Jägern und Landwirten von großer Bedeutung.

Der Einsatz von Drohnen im Revier erlebt gerade einen enormen Aufschwung. Von der Kitzrettung bis hin zur Wildschadenbegutachtung, Unterstützung bei der Nachsuche und Suche von verletzten (Jagd-)- Hunden.

Solar- und PV-Anlagen befinden sich naturgemäß häufig an erhöhten Stellen wie Dächer bzw. sind großflächig und geneigt, sodass der Bereich bei Inspektionen schlecht zu erreichen ist. Mit der Drohne ist die Kontrolle kein Problem mehr. Ob bei Dachanlagen oder bei Photovoltaikanlagen ist die Kontrolle auf Beschädigungen besonders rasch und sicher.

Mit der Drohnen können spektakuläre Luftaufnahmen von Gebäuden oder Objekten aus der Vogelperspektive gemacht werden. Die Luftaufnahmen repräsentieren die Schönheit und Vorzüge eines Objektes oftmals besser, als diese vom Boden aus erstellten Fotografien oder Videos.

Am 3. November 2023, nach einem Probeflug bei der Firma Enengl in Zwettl, durfte die Wärmebilddrohne Mavic 2 Enterprise Advance von DJI bei mir einziehen.

Ich merkte schnell, dass die Flugzeit mit einem Akku sehr begrenzt ist. Deshalb besorgte ich mir im Laufe der zeit noch 2 weitere Akkus für die Mavic.
Derzeit begleiten mich insgesamt 3 Akkus (Ausbaufähig - Zukunft evtl. noch weitere).

Nach den ersten Probeflügen zu Hause war die Begeisterung nach wie vor enorm groß. Aufgrund der ausgereiften Technik und der vielen Möglichkeiten gibt es immer etwas dazu zu lernen.

Im Jänner 2024 durfte ich das erste Mal auswärts ein Waldstück zur Nachsuche überfliegen und so die Handhabung und Steuerung zu perfektionieren. Anfang März war ich das erste Mal mit meiner Drohne unterwegs um zu prüfen, ob in einem Waldstück Wildschweine unterwegs sind. Auf den Bildern sieht man schön den Einstand der Rotten im Waldstück

Weitere Fotos siehe Gallerie

Hier ein paar Bilder meiner Einsätzen.
